Bedrohung durch Abriss
Darum geht es konkret:
Im Jahre 1958, also gerade nach dem Krieg in der Aufbauphase Berlins und kurz nach der Fertigstellung der Gartenanlage Marienhöhe aus Trümmerschutt, wurde für diesen Teilbereich Tempelhofs ein Bebauungsplan erstellt und verabschiedet, der in der Tat heute nach 60 Jahren immer noch Bestand und Gültigkeit hat und auf dessen Gültigkeit sich der Bezirk jetzt beruft..
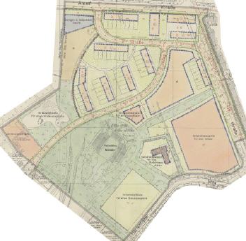
B-Plan 1960
Quelle: Archiv des Bezirks Tempelhof-Schöneberg
In diesem B-Plan sind Bedarfsflächen des Bezirks für u.a. einen Sportplatz, für eine KITA, eine Freizeiteinrichtung und eine Schule vermerkt.
Die Fläche der Schule entspricht dabei der heutigen Fläche der inzwischen 105jährigen Kleingartenanlage "Eschenallee" auf der Marienhöhe, die auf landeseigenem Grund steht und somit Pachtland ist.
Als erste Gerüchte die Runde machten, dass der Bezirk, damals vertreten durch Schulstadtrat Schwork (SPD) und Baustadtrat Oltmann (GRÜNE), diese Fläche für "notwendigen Schulbau" zeitnah in Anspruch nehmen wollen, formierte sich der gemeinsame Protest der Unterpächter (Kleingärtner) und der Anwohner der Marienhöhe.
Dazu muss man auch wissen, dass nicht die Kleingärtner Mieter oder Pächter der Kleingarten-Fläche (landeseigen) sind, sondern der Bezirksverband der Kleingärtner Tempelhof e.V. der eigentliche Hauptpächter ist, dem dann gekündigt würde. Der Bezirksverband in seiner trägen Art wurde in der causa erst einmal gar nicht für seine Pächter aktiv, so dass sich die Pächter der Parzellen und die Anwohner zum Handeln gezwungen sahen!
Somit schlug die Stunde der neu gegründeten "Bürgerinitiative Marienhöhe", die sich um den Erhalt des Gesamtensembles von 105jähriger Kleingartenanlage + der 80jährigen Siedlung + des 70jährigen Parks sorgt und diese Fläche als ein wichtiges Ensemble, als ein Ganzes sieht, welches es zu schützen und zu bewahren gilt.
Denn hier geht es um "mehr" als nur um ein "paar Laubenpieper", die dann im Zweifel ihre Parzellen verlieren werden....
1. Die Kleingartenanlage war und ist seit 80 Jahren Bestandteil der grünen Marienhöhe und wird so gelebt (auch weil alle Tage rund um die Uhr frei zugänglich) und erlebt.
2. Der Bebauungsplan mag ja in den 1960er Jahre richtig gedacht und damals, als man Berlin neu plante, durchaus berechtigt gewesen sein. Doch heute in den 2020er Jahren erscheint er wie aus der Zeit gefallen und aus mehreren Gründen so nicht praktikabel.
Denn die damaligen Planflächen haben nun in den letzten 70 Jahren eine Funktion hier in der Stadt auf der Marienhöhe übernommen.
Zum einen haben wir eine Corona Pandemie durchlebt und die Leute hier im Kiez haben es sehr begrüßt und genossen, aus ihren Wohnungen mal in das nahe Grün der Marienhöhe zu entfliehen.
Denn Grün ist nicht das Privileg weniger (Gartenpächter), sondern mit Naturlehrpfad und dem Rundwanderweg durch die Kolonie auch ein Stück Lebensqualität für die umliegend wohnenden Berliner*innen und ihre Kinder.
Zum Stichwort kühl ist zu sagen, dass man sich ja längst von der Stadtplanung der 1960er Jahre verabschiedet hat und anerkennt, dass Grünflächen (zumal wenn sie durch engagierte Kleingärtner gepflegt und gewässert werden!) nicht nur zur Erhaltung der Artenvielfalt beitragen, sondern auch wie ein "Kühlschrank" für Kaltluft und Frischluftströme verantwortlich sind.
Das merkt man alleine schon dann, wenn man einmal im Sommer vom Tempelhofer Damm zur Marienhöhe radelt und am Marienhöher Weg in das Grüngebiet einbiegt.
Frische Kühle Luft empfängt einen dort!
Besonders deutlich wurde dieser Effekt während der letzten Hitzesommer, bei denen die umliegenden Anwohner ihren überhitzten Wohnung entflohen und sich gerne tagsüber im grünen Bereich der Marienhöhe aufgehalten haben. Darunter auch viele Senioren aus der großen Seniorenwohnanlage Arnulfstraße.
Und eines muss man immer bedenken:
Wenn man jetzt diese wichtige Fläche einfach beräumt, dort Schulbauten hinsetzt und später mit Alibi-Begrünung "verschönt", ist dennoch nicht der Effekt für das hier wohnenden Umfeld gegeben, wie er jetzt vorherrschend ist.
Deswegen protestieren auch so viele Anwohnende.
Außerdem MUSS in unseren Augen auch eine Abwägung der Interessen der Allgemeinheit und hier Anwohnenden (Erholungsfläche, Grünfläche, Kältepuffer) mit den bisher immer politisch in den Vordergrund gespielten Interessen des Bezirks abgewogen werden, genau dort Schulbau errichten zu wollen oder zu müssen.
All dieses führte zu einer großen Einwohner-Versammlung im Rathaus Schöneberg, bei der die Argumente mit den Bezirksverantwortlichen ausgetauscht wurden und der Protest sachlich, aber deutlich vorgetragen wurde.
Die beeindruckende Anzahl von Teilnehmenden spricht für die Verbundenheit der Anwohner*innen mit ihrer Marienhöhe.
Doch wie löst man das Schulproblem?
Auch wir sind für nachweislich benötigten Schulplatzbau und haben ein Interesse daran, dass Kinder und Enkel später einmal bestmöglich beschult werden.
Aber erst einmal sollte der Bezirk uns mit nachvollziehbaren Zahlen nachweisen, dass es wirklich diese Bedarfszahlen im nahen Umfeld für Grundschulpätze gibt und alle Kapazitäten durch Verdichtung und Nachbbebauung vorhandener Schulgebäude und Schulflächen ausgereizt sind.
Und zweitens wäre es sinvoll erst einmal die Bauaktivitäten des Bezirks zu optimieren, so dass nicht Schulgebäude über Jahre sinnlos dem Bedarf entzogen sind, weil deren durch den Bezirk Tempelhof verantwortete Sanierung nicht vorankommt...
Also bitte erst einmal die hausgemachten bezirklichen Probleme lösen, bevor man es sich "einfach" macht und eine wichtige Grünfläche durch temporären Schulbauten ersetzen will, die beim Abflachen der prognostizierten Schüler-Bedarfszahlen dann wieder verschwinden dürfte..
Das Ergebnis wäre eine Ödfläche und die jetzige grüne Oase für die Anwohnenden würde damit unwiederbringlich der Vergangenheit angehören.
Auch haben wir uns den Argumenten nicht komplett verweigert, sondern einfach nicht den Beteuerungen geglaubt, dass der Bezirk aktiv auch nach Alternativen für diese Fläche gesucht hat.
Wir als Bürger haben deshalb recherchiert und selber Flächen gesucht und gefunden, wo im näheren Umfeld ein solcher Schulbau sinnvoller (und somit unter Verschonung der Kleingärten-Grünfläche der "Eschenallee") errichtet werden könnte.
Die Ergebnisse finden Sie hier: Alternative Standorte für einen Schulneubau.
Wie es weitergeht?
Das lesen Sie immer unter dem Punkt "Aktuelles und Übersicht"!
